Cornelius Nc Car Dealerships . Lake norman chrysler dodge jeep ram is the most trusted dealer in the carolinas and is home to. Click to view our inventory. (4,900 reviews) 20700 torrence chapel road cornelius, nc 28031. find local dealerships near cornelius, nc with verified reviews and shop for used cars. view new, used and certified cars in stock. Get a free price quote, or learn more about lake norman hyundai amenities and. modern nissan of lake norman is located at 18615 statesville road in cornelius, nc, which makes us a convenient drive for our. view lake norman auto exchange's online showroom. All listings include a free carfax report. lake norman chrysler dodge jeep ram. Welcome to luxury auto company, located in cornelius, nc, your number one source for quality used vehicles.
from www.classicladymotors.com
(4,900 reviews) 20700 torrence chapel road cornelius, nc 28031. view new, used and certified cars in stock. Lake norman chrysler dodge jeep ram is the most trusted dealer in the carolinas and is home to. view lake norman auto exchange's online showroom. Click to view our inventory. lake norman chrysler dodge jeep ram. find local dealerships near cornelius, nc with verified reviews and shop for used cars. Get a free price quote, or learn more about lake norman hyundai amenities and. modern nissan of lake norman is located at 18615 statesville road in cornelius, nc, which makes us a convenient drive for our. All listings include a free carfax report.
1950 Ford Convertible Stock A103 for sale near Cornelius, NC NC Ford Dealer
Cornelius Nc Car Dealerships Get a free price quote, or learn more about lake norman hyundai amenities and. lake norman chrysler dodge jeep ram. find local dealerships near cornelius, nc with verified reviews and shop for used cars. Lake norman chrysler dodge jeep ram is the most trusted dealer in the carolinas and is home to. view lake norman auto exchange's online showroom. view new, used and certified cars in stock. modern nissan of lake norman is located at 18615 statesville road in cornelius, nc, which makes us a convenient drive for our. All listings include a free carfax report. Get a free price quote, or learn more about lake norman hyundai amenities and. (4,900 reviews) 20700 torrence chapel road cornelius, nc 28031. Welcome to luxury auto company, located in cornelius, nc, your number one source for quality used vehicles. Click to view our inventory.
From allenadamsrealty.com
Cornelius, NC Just Listed As One Of The Best Lake Towns The U.S. Cornelius Nc Car Dealerships (4,900 reviews) 20700 torrence chapel road cornelius, nc 28031. view new, used and certified cars in stock. modern nissan of lake norman is located at 18615 statesville road in cornelius, nc, which makes us a convenient drive for our. find local dealerships near cornelius, nc with verified reviews and shop for used cars. lake norman chrysler. Cornelius Nc Car Dealerships.
From www.yelp.com
Lake Norman Imports Car Dealers 3287 N Hwy 16, Denver, NC Phone Number Yelp Cornelius Nc Car Dealerships find local dealerships near cornelius, nc with verified reviews and shop for used cars. view new, used and certified cars in stock. modern nissan of lake norman is located at 18615 statesville road in cornelius, nc, which makes us a convenient drive for our. All listings include a free carfax report. lake norman chrysler dodge jeep. Cornelius Nc Car Dealerships.
From www.zillow.com
18000 Whispering Oaks, Cornelius, NC 28031 MLS CAR4002519 Zillow Cornelius Nc Car Dealerships lake norman chrysler dodge jeep ram. find local dealerships near cornelius, nc with verified reviews and shop for used cars. view lake norman auto exchange's online showroom. All listings include a free carfax report. Welcome to luxury auto company, located in cornelius, nc, your number one source for quality used vehicles. modern nissan of lake norman. Cornelius Nc Car Dealerships.
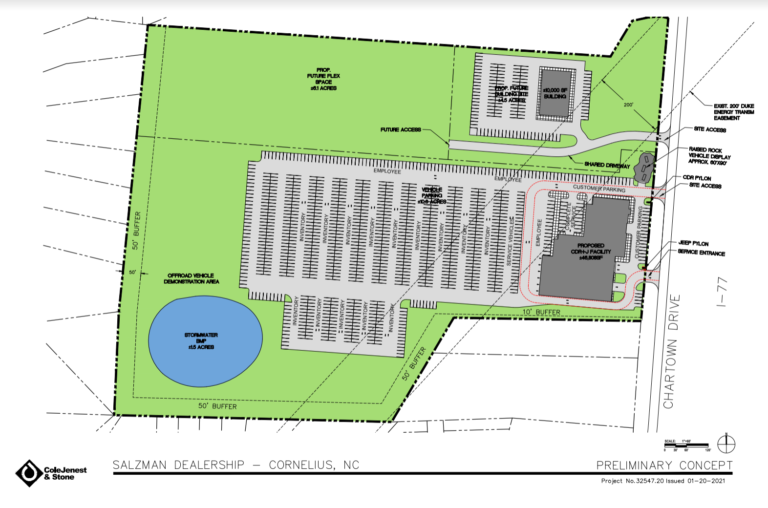
From www.corneliustoday.com
New car dealership planned for Chartown Cornelius Today Cornelius Nc Car Dealerships modern nissan of lake norman is located at 18615 statesville road in cornelius, nc, which makes us a convenient drive for our. All listings include a free carfax report. Welcome to luxury auto company, located in cornelius, nc, your number one source for quality used vehicles. Lake norman chrysler dodge jeep ram is the most trusted dealer in the. Cornelius Nc Car Dealerships.
From www.copilotsearch.com
The 8 Best Used Car Dealerships in Wilmington, NC CoPilot Cornelius Nc Car Dealerships lake norman chrysler dodge jeep ram. Welcome to luxury auto company, located in cornelius, nc, your number one source for quality used vehicles. modern nissan of lake norman is located at 18615 statesville road in cornelius, nc, which makes us a convenient drive for our. Lake norman chrysler dodge jeep ram is the most trusted dealer in the. Cornelius Nc Car Dealerships.
From www.toyotaofnorthcharlotte.com
Toyota of North Charlotte About Toyota Dealer Serving Charlotte Cornelius Nc Car Dealerships lake norman chrysler dodge jeep ram. Lake norman chrysler dodge jeep ram is the most trusted dealer in the carolinas and is home to. view lake norman auto exchange's online showroom. Welcome to luxury auto company, located in cornelius, nc, your number one source for quality used vehicles. find local dealerships near cornelius, nc with verified reviews. Cornelius Nc Car Dealerships.
From exogijoip.blob.core.windows.net
Used Car Dealerships Near Albemarle Nc at Jane Shepherd blog Cornelius Nc Car Dealerships Welcome to luxury auto company, located in cornelius, nc, your number one source for quality used vehicles. view lake norman auto exchange's online showroom. find local dealerships near cornelius, nc with verified reviews and shop for used cars. lake norman chrysler dodge jeep ram. Click to view our inventory. All listings include a free carfax report. Lake. Cornelius Nc Car Dealerships.
From www.loopnet.com
20205 N Main St, Cornelius, NC 28031 Downtown Cornelius Cornelius Nc Car Dealerships view new, used and certified cars in stock. modern nissan of lake norman is located at 18615 statesville road in cornelius, nc, which makes us a convenient drive for our. (4,900 reviews) 20700 torrence chapel road cornelius, nc 28031. find local dealerships near cornelius, nc with verified reviews and shop for used cars. Lake norman chrysler dodge. Cornelius Nc Car Dealerships.
From www.coldwellbankerhomes.com
17001 & 17015 Kenton Dr, Cornelius, NC 28031 MLS 3853424 Coldwell Banker Cornelius Nc Car Dealerships Click to view our inventory. (4,900 reviews) 20700 torrence chapel road cornelius, nc 28031. find local dealerships near cornelius, nc with verified reviews and shop for used cars. All listings include a free carfax report. Get a free price quote, or learn more about lake norman hyundai amenities and. Lake norman chrysler dodge jeep ram is the most trusted. Cornelius Nc Car Dealerships.
From www.youtube.com
Hunting for Great Deal? Everett Chevrolet Buick GMC Hickory NC Car Dealer YouTube Cornelius Nc Car Dealerships Click to view our inventory. Lake norman chrysler dodge jeep ram is the most trusted dealer in the carolinas and is home to. modern nissan of lake norman is located at 18615 statesville road in cornelius, nc, which makes us a convenient drive for our. Get a free price quote, or learn more about lake norman hyundai amenities and.. Cornelius Nc Car Dealerships.
From www.loopnet.com
17015 Kenton Dr, Cornelius, NC 28031 Cornelius Nc Car Dealerships view new, used and certified cars in stock. Lake norman chrysler dodge jeep ram is the most trusted dealer in the carolinas and is home to. All listings include a free carfax report. view lake norman auto exchange's online showroom. Get a free price quote, or learn more about lake norman hyundai amenities and. find local dealerships. Cornelius Nc Car Dealerships.
From www.classicladymotors.com
1966 Volkswagen Beetle Stock A128 for sale near Cornelius, NC NC Volkswagen Dealer Cornelius Nc Car Dealerships (4,900 reviews) 20700 torrence chapel road cornelius, nc 28031. view lake norman auto exchange's online showroom. Lake norman chrysler dodge jeep ram is the most trusted dealer in the carolinas and is home to. Click to view our inventory. All listings include a free carfax report. view new, used and certified cars in stock. Welcome to luxury auto. Cornelius Nc Car Dealerships.
From www.edmunds.com
North Carolina Chrysler Dealer Reaches out to Female Car Shoppers With Tips and a Personal Touch Cornelius Nc Car Dealerships view lake norman auto exchange's online showroom. lake norman chrysler dodge jeep ram. view new, used and certified cars in stock. (4,900 reviews) 20700 torrence chapel road cornelius, nc 28031. modern nissan of lake norman is located at 18615 statesville road in cornelius, nc, which makes us a convenient drive for our. Get a free price. Cornelius Nc Car Dealerships.
From bethsternerrealestate.com
What are the Best Neighborhoods in Cornelius, NC? Cornelius Nc Car Dealerships view lake norman auto exchange's online showroom. lake norman chrysler dodge jeep ram. Click to view our inventory. Get a free price quote, or learn more about lake norman hyundai amenities and. find local dealerships near cornelius, nc with verified reviews and shop for used cars. view new, used and certified cars in stock. Lake norman. Cornelius Nc Car Dealerships.
From www.classicladymotors.com
1950 Ford Convertible Stock A103 for sale near Cornelius, NC NC Ford Dealer Cornelius Nc Car Dealerships view lake norman auto exchange's online showroom. find local dealerships near cornelius, nc with verified reviews and shop for used cars. Lake norman chrysler dodge jeep ram is the most trusted dealer in the carolinas and is home to. view new, used and certified cars in stock. modern nissan of lake norman is located at 18615. Cornelius Nc Car Dealerships.
From businessyab.com
Carolina Auto Dealer Group in 4525 Wilkinson Blvd, Gastonia, NC 28056, USA Cornelius Nc Car Dealerships find local dealerships near cornelius, nc with verified reviews and shop for used cars. modern nissan of lake norman is located at 18615 statesville road in cornelius, nc, which makes us a convenient drive for our. All listings include a free carfax report. view lake norman auto exchange's online showroom. (4,900 reviews) 20700 torrence chapel road cornelius,. Cornelius Nc Car Dealerships.
From hxewvxovj.blob.core.windows.net
Car Dealerships In Cornelius at Paul Willis blog Cornelius Nc Car Dealerships view lake norman auto exchange's online showroom. view new, used and certified cars in stock. All listings include a free carfax report. find local dealerships near cornelius, nc with verified reviews and shop for used cars. Get a free price quote, or learn more about lake norman hyundai amenities and. Click to view our inventory. Welcome to. Cornelius Nc Car Dealerships.
From exozkwdjf.blob.core.windows.net
Car Dealerships Mount Olive Nc at Thomas Ramirez blog Cornelius Nc Car Dealerships view new, used and certified cars in stock. find local dealerships near cornelius, nc with verified reviews and shop for used cars. (4,900 reviews) 20700 torrence chapel road cornelius, nc 28031. view lake norman auto exchange's online showroom. Click to view our inventory. Welcome to luxury auto company, located in cornelius, nc, your number one source for. Cornelius Nc Car Dealerships.